ΤΥΠΟΣ

Συγκρότημα

ΚΛΑΔΟΙ ΔΡΑΣΤΗΡΙΟΤΗΤΑΣ

Ερευνητικός Σταθμός

ΚΑΤΑΣΤΑΣΗ ΜΝΗΜΕΙΟΥ

Εγκαταλελειμμένο

ΚΑΤΑΣΤΑΣΗ ΕΞΟΠΛΙΣΜΟΥ

Δεν διασώζεται

ΚΑΘΕΣΤΩΣ ΠΡΟΣΤΑΣΙΑΣ

Διατηρητέο

ΚΑΤΑΓΡΑΦΕΑΣ

Ηρακλής Φασουράκης

ΠΕΡΙΦΕΡΕΙΑΚΗ ΕΝΟΤΗΤΑ

Αιτωλοακαρνανίας

ΠΟΛΗ

Αγρίνιο

ΣΥΝΤΕΤΑΓΜΕΝΕΣ

38.6161420, 21.4096520

ΠΑΡΟΧΟΣ ΠΛΗΡΟΦΟΡΙΑΣ

ΒιΔΑ/VIdA

ΠΛΗΡΟΦΟΡΙΕΣ

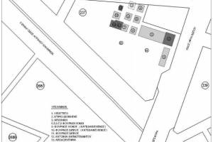
Βρίσκεται στη συμβολή της οδού Ηρακλείτου με την εθνική οδό Αγρινίου-Αντιρρίου, νοτιοδυτικά της πόλης και εκτός των ορίων του Σχεδίου του 1929. Ο Καπνικός Σταθμός Έρευνας Αγρινίου, αποτέλεσε περιφερειακό ερευνητικό τμήμα του Καπνολογικού Ινστιτούτου της Ελλάδας, με έδρα τη Δράμα. Το συγκρότημα κτίστηκε το 1937 και αποδίδεται στον αρχιτέκτονα Λέανδρο Ζωίδη ο οποίος σχεδίασε και το κτιριακό συγκρότημα του Καπνολογικού Ινστιτούτου στη Δράμα. Αποτελείται από 8 ξηραντήρια καπνών Αμερικάνικου τύπου (Virginia, Berley), κτήριο αποθήκευσης και επεξεργασίας, υπόστεγο (Κυρίως για αρμάθιασμα καπνού), κτήριο γραφείων και κατοικία φύλακα. Πηγή: ΚΑΠΝΙΚΟΣ ΣΤΑΘΜΟΣ ΕΡΕΥΝΑΣ (Καλλιέργεια καπνού και Αγρίνιο)

Οι ίδιοι όμως αυτοί διαμαρτυρόμενοι για τη τύχη του προηγούμενου νεότερου μνημείου δεν έδειξαν κανένα ενδιαφέρον για κάποιο άλλο πολύ σημαντικότερο συγκρότημα κτισμάτων. Στη θέση «αερογέφυρα», κάτω στη συνοικία «Ντούτσαγα» με επαφή στην Εθνική Οδό Αντιρρίου –Αγρινίου –Ιωαννίνων, υπάρχουν οι πάλαι ποτέ εγκαταστάσεις του ΕΟΚ, Εθνικού Οργανισμού Καπνού. Εκεί για δεκαετίες γίνονταν πειραματικές καλλιέργειες, δοκιμές λιπασμάτων, εκπαίδευση. Γεωπόνοι, τεχνολόγοι γεωπονίας, γεωργοτεχνίτες, αγρότες πέρασαν από εκεί. Υπάρχουν φούρνοι με ξύλα γαλλικού ρυθμού, εποχής του μεσοπολέμου, ξηραντήρια καπνού που τώρα βρίσκονται ερειπωμένα. Ο Εθνικός Οργανισμός Καπνού καταργήθηκε και τώρα εκεί υπηρετεί μόνο ένας υπάλληλος, ο γεωπόνος κ. Τζάνης ο οποίος μάλιστα σε λίγες μέρες συνταξιοδοτείται . Το τι θα γίνει, ποια τύχη θα έχει το μοναδικό αυτό μνημείο βιομηχανικής αρχαιολογίας είναι άγνωστο. Στη Καβάλα πάντως κάτι ανάλογο έχει αξιοποιηθεί ως Μουσείο Καπνοκαλλιέργειας. Θέμα:
Πηγή : «Βιομηχανική Αρχαιολογία. Κατάλοιπα από τη καλλιέργεια του καπνού κατά τον 20ο αιώνα στο Αγρίνιο», Μουσικό σχολείο Αγρινίου, Τάξη: Γ΄ Γυμνασίου 

Με ψήφισμα που συνυπογράφουν η αντιπεριφερειάρχης Αιτωλοακαρνανίας κα. Χριστίνα Σταρακά και ο δήμαρχος Αγρινίου κ. Γιώργος Παπαναστασίου, η Ένωση Αγρινίου, διαπιστώνοντας ότι οι προωθούμενες αλλαγές υποβαθμίζουν τα ερευνητικά ινστιτούτα στην Περιφέρεια Δ.Ε., η δε Αιτωλοακαρνανία δεν περιλαμβάνεται καν στο σχεδιασμό, παρεμβαίνει ζητώντας ουσιαστικά την επαναλειτουργία του καταργηθέντος Καπνικού Σταθμού Αγρινίου, ως ένα Πολυδύναμο Κέντρο Εφαρμοσμένης Αγροτικής Έρευνας, με έμφαση στα τοπικά προϊόντα και κυρίως στην ελιά και τα εσπεριδοειδή. Ο πρόεδρος της Ένωσης Αγρινίου κ. Θωμάς Κουτσουπιάς αφού ευχαρίστησε την αντιπεριφερειάρχη Αιτωλοακαρνανίας και τον δήμαρχο Αγρινίου για την ένθερμη υποστήριξη και συμμετοχή τους στην πρωτοβουλία, δήλωσε:
Πηγή : Κέντρο Γεωργικής Έρευνας διεκδικεί η Ένωση Αγρινίου,  Πέμπτη, 30 Οκτώβριος 2014 

BINTEO

ΦΩΤΟΓΡΑΦΙΕΣ

ΑΝΑΦΟΡΑ

Αν χρησιμοποιήσετε πληροφορίες και στοιχεία που περιέχονται στις ιστοσελίδες vidarchives.gr, vidaomada.gr, vida-omada.blogspot.com και στο συνοδευτικό χάρτη παρακαλούμε πολύ να χρησιμοποιήσετε τις ακόλουθες αναφορές:

ΓΙΑ ΓΕΝΙΚΗ ΑΝΑΦΟΡΑ
Βακαλοπούλου Μ., Δανιήλ Μ., Λαμπρόπουλος Χ., Φασουράκης Η. (επιμ.), 2017, Βιομηχανικά Δελτία Απογραφής (www.vidarchives.gr).

ΓΙΑ ΑΝΑΦΟΡΑ ΣΥΓΚΕΚΡΙΜΕΝΟΥ ΔΕΛΤΙΟΥ
Ηρακλής Φασουράκης, ΚΑΠΝΙΚΟΣ ΣΤΑΘΜΟΣ ΕΡΕΥΝΑΣ ΑΓΡΙΝΙΟΥ, στο Βακαλοπούλου Μ., Δανιήλ Μ., Λαμπρόπουλος Χ., Φασουράκης Η. (επιμ.), 2017, Βιομηχανικά Δελτία Απογραφής (www.vidarchives.gr/reports/2016_06_942).

Στείλτε μας σχόλια / παρατηρήσεις

{{ errors[0] }}

{{ errors[0] }}

{{ errors[0] }}
Σε ευχαριστούμε πολύ, το σχόλιό σας έχει καταχωρηθεί με επιτυχία!
Xρησιμοποιούμε cookies για να διασφαλίσουμε την εύρυθμη λειτουργία του site και την καλύτερη εμπειρία χρήσης